Van harte welkom op de infomarkt op donderdag 30 januari

|
|
|
|
NIEUWSBRIEF
FIETSPADEN MECHELSESTEENWEG (N1)
Heraanleg N1xR11 - MORTSEL
Woensdag 15 januari 2025 |
|
|
|
|
|
|
In deze editie van de nieuwsbrief lees je voor het eerst meer over de geplande werken aan het kruispunt Vredebaan en Krijgsbaan (R11) met de Antwerpsestraat (N1). We gebruiken hiervoor vanaf nu ook dit informatiekanaal om zo veel mogelijk Mortselaars en andere geïnteresseerden rechtstreeks op de hoogte te houden van de verschillende wegenwerken op de N1. Je zal ook nog steeds alle updates ontvangen over de heraanleg van de Mechelsesteenweg. |
|
|
|
|
|
|
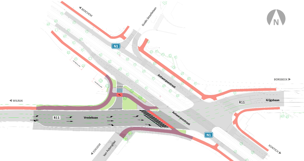
AWV plant in samenwerking met de stad Mortsel de gedeeltelijke heraanleg van het kruispunt Vredebaan-Krijgsbaan-Antwerpsestraat om conflicten tussen de actieve weggebruikers en het gemotoriseerd verkeer zo veel mogelijk weg te werken. Het kruispunt wordt aan de zijde van de Vredebaan (R11) heringericht om de veiligheid te verhogen en de doorstroming van het gemotoriseerd verkeer te verbeteren. |
|
|
|
|
|
|
Ontwerpplan kruispunt Antwerpsestraat-Vredebaan-Krijgsbaan. © AWV |
|
|
|
|
|
|
Van harte welkom op de infomarkt |
|
|
|
|
|
|
We organiseren binnenkort een infomarkt waar we graag meer uitleg geven over het project.
-
Datum: Donderdag 30 januari 2025
-
Uur: Vrije toegang tussen 17.00 en 20.30 uur
-
Locatie: OLVE Campus Mortsel-West (Gustaaf Lavastraat 33, 2640 Mortsel)
-
Inschrijven is niet nodig.
|
|
|
|
|
|
|
Werken starten in het voorjaar |
|
De herinrichting start in april 2025 en duurt een tweetal maanden. De planning is steeds onder voorbehoud van gunstige weers- en werfomstandigheden.
Voorbereidende nutswerken
Voor de start van de herinrichting moeten er voorbereidende nutswerken gebeuren. Het gaat om de verplaatsing en modernisering van kabels en leidingen voor water, telecom, gas en elektriciteit. De nutswerken starten vermoedelijk op maandag 27 januari. Tijdens deze nutswerken blijft de hinder voor het verkeer beperkt. |
|
|
|
|
|
|
|
|
|
Blijf op de hoogte! |
|
Surf naar de projectpagina voor alle informatie over het project en de meest recente info over de verkeershinder. |
|
|
|
|
|
|
|
|
|
|
|
|
|
| Dit is een officiële nieuwsbrief van de Vlaamse overheid. |
|
Deze e-mail werd gestuurd naar:
dorien@amaril.be
Agentschap Wegen en Verkeer |
|
|
|
|
|
|
|
