Van 13 t.e.m. 17 september afrit R1 afgesloten.

|
|
|
|
NIEUWSBRIEF
KRUISPUNT GROTESTEENWEG MET BINNENSINGEL
Vrijdag 30 augustus 2024 |
|
|
|
|
|
|
Zoals aangekondigd, start binnenkort een nieuwe fase van de werken. Tussen 2 september en 4 oktober verandert de verkeerssituatie een aantal keer. Alle details lees je hieronder. |
|
|
|
|
|
|
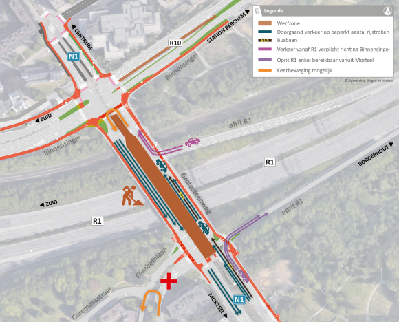
Verkeerssituatie van 2 tot en met 13 september |
|
|
|
|
|
|
Van 2 september (05.00 uur) tot 13 september (18.00 uur) leggen we het tijdelijke tweede tramspoor aan. Daarvoor nemen we de meest linkse rijstrook richting Antwerpen in. De middenberm blijft daardoor volledig afgesloten. Ook de Elisabethlaan blijft die periode doodlopen op de N1. Verkeer op de Grotesteenweg (N1) richting Mortsel is wel opnieuw mogelijk.Je kan dan ook opnieuw keren aan het kruispunt met de Binnensingel. Doorgaand en zwaar verkeer richting Mortsel volgt de omleiding A12, afrit 5 Wilrijk, Vogelzanglaan, Jan van Rijswijcklaan (N177), Boomsesteenweg (N177) en R11. |
|
|
|
|
|
Verkeerssituatie van 2 tot en met 13 september. © AWV |
|
|
|
|
|
|
|
|
Voetgangers en fietsers gebruiken de nieuwe fiets- en voetpaden. Alle oversteekplaatsen op het kruispunt met de Binnensingel zijn beschikbaar. Doordat de Elisabethlaan nog doodloopt op de N1 blijven fietsers de omleiding via de Koninklijkelaan volgen. Het tramverkeer rijdt nog steeds beurtelings over één spoor. Het busvervoer ondervindt geen hinder. |
|
|
|
|
|
|
Ook herstellingswerken in Uitbreidingstraat in september |
|
|
|
|
|
|
Van dinsdag 3 september (07.00 uur) tot vrijdag 13 september (17.00 uur) voeren we ook herstellingswerken uit op het kruispunt van de Patriottenstraat met de Uitbreidingstraat. De vele regenval van de afgelopen maanden heeft het ons moeilijk gemaakt om de klinkers goed aan te leggen. Het zand spoelde steeds weg waardoor de klinkers los kwamen te liggen. Dat gaan we nu herstellen. De betrokken bewoners ontvingen hierover een brief met meer details. |
|
|
|
|
|
|
Verkeerssituatie van 13 tot en met 17 september |
|
|
|
|
|
|
|
|
Verkeerssituatie van 13 tot en met 17 september. © AWV |
|
|
|
Van 13 september (18.00 uur) tot 17 september (16.00 uur) werkt de aannemer verder op de Mechelsebrug ter hoogte van de tramsporen. We sluiten daarvoor de afrit van de R1 naar Berchem af. Verkeer volgt een omleiding via A12, afrit 5 Wilrijk, Vogelzanglaan, Jan van Rijswijcklaan (N177), Boomsesteenweg (N177) en R11.
De tram schakelt over van het enkelspoor naar twee sporen tussen 14 september (01.00 uur) en 16 september (05.00 uur). De tram rijdt dan niet. Plan uw route tijdig op delijn.be/routeplanner. Voor de bussen is er geen hinder. |
|
|
|
|
|
|
|
|
Verkeerssituatie van 17 september tot en met 4 oktober |
|
|
|
|
|
|
Van 17 september (16.00 uur) tot 4 oktober (15.00 uur) voert de aannemer afrondende werken uit van de huidige renovatiewerken. Alle rijbewegingen op de Grotesteenweg en de Binnensingel zijn mogelijk en de Elisabethlaan loopt niet langer dood op de N1. Ter hoogte van de werken is een beperkt aantal rijstroken beschikbaar. |
|
|
|
|
|
Verkeerssituatie van 17 september tot en met 4 oktober. © AWV |
|
|
|
|
|
|
|
|
Nieuwe studie bijkomende renovatiewerken Mechelsebrug |
|
|
|
|
|
|
Tijdens het verwijderen van de tramsporen stelden we vast dat enkele onderdelen van de brug die over de treinsporen loopt in slechtere staat verkeren dan verwacht. Meer specifiek gaat het over de zone onder de tramsporen als je staduitwaarts rijdt. Hierdoor wordt de renovatie omvangrijker en is een nieuwe studie nodig. Voor die studie en de uitvoering hebben we hoogstwaarschijnlijk een extra jaar nodig. De hinder voor het verkeer blijft dan wel beperkt. Meer informatie volgt later. |
|
|
|
|
|
|
|
|
| Dit is een officiële nieuwsbrief van de Vlaamse overheid. |
|
Deze e-mail werd gestuurd naar:
marleen@amaril.be
Agentschap Wegen en Verkeer
Koning Albert II-laan 20 (bus 4) 1000 Brussel |
|
|
|
|
|
|
|
