Bekijk de foto’s van de inhuldiging.

|
|
|
|
NIEUWSBRIEF
VERNIEUWING STATIONSOMGEVING LIER
Maandag 14 juli 2025 |
|
|
|
|
|
|
De nieuwe ontsluitingsweg is open! Vorige week maandag werd deze feestelijk ingehuldigd. Heb je de weg nog niet gebruikt? Hieronder vind je handige routeplannetjes voor de fiets en de auto. Deze week zie je nog enkele machines aan het werk. Daarna neemt de aannemer bouwverlof zodat hij de laatste werken uitgerust kan hervatten op 4 augustus. Die afwerkingen brengen weinig tot geen verkeershinder met zich mee.
☀️ Een deugddoende vakantie gewenst, zonnige zomergroeten van AWV en de stad Lier! ☀️ |
|
|
|
|
|
|
Nieuwe bretellen ingehuldigd |
|
|
|
|
|
|
Op maandag 7 juli huldigden we de Stationsweg en de bretellen in. Samen met Vlaams minister Annick De Ridder en het lokaal bestuur maakten we er een buurtfeestje van. Na de vele regen in de ochtend was het zonnetje gelukkig ook van de partij. De ijsjes werden dus gesmaakt. Geniet nog even na met de foto’s! |
|
|
|
|
|
|
Inhuldiging op maandag 7 juli 2025. © AWV |
|
|
|
|
|
|
Deel jouw mening met ons! |
|
|
|
|
|
|
Wat vond jij van de inhuldiging? Laat het ons weten door op onderstaande knop te klikken. Het formulier invullen duurt slechts een 5-tal minuutjes. Bedankt voor jouw feedback! |
|
|
|
|
|
|
De nieuwe Stationsweg, de bretellen, ovonde en rotonde in beeld. © AWV |
|
|
|
|
|
|
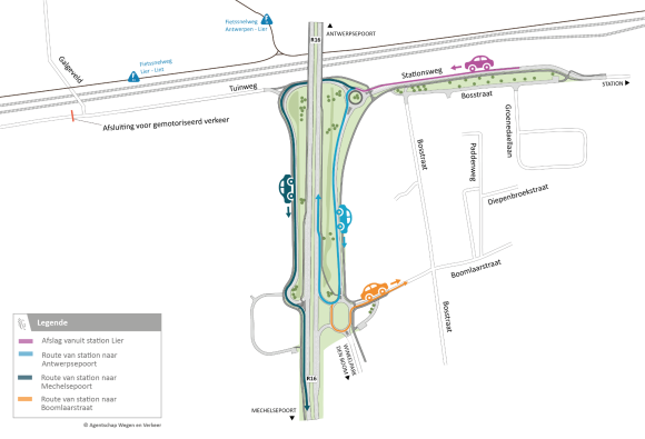
De nieuwe routes in kaart gebracht |
|
|
|
|
|
|
|
|
- Linksboven: naar het station met de wagen.
- Rechtsboven: vanuit het station met de wagen.
-
Linksonder: fietsen van en naar het station.
© AWV
|
|
|
|
|
|
|
|
|
Laatste afwerkingen in augustus |
|
|
|
|
|
|
De nieuwe weg is in gebruik, maar hier en daar zijn er nog kleine werken nodig. Die brengen weinig tot geen verkeershinder met zich mee. Zo graven we deze week nog grachten en werken we de bermen af. In augustus krijgt de Boomlaarstraat aan de buitenzijde van de Ring nog een keerlus en een eindlaag in asfalt. Ook de inritten en grachten werken we dan verder af. In het najaar, wanneer het nieuwe plantseizoen start, planten we de bomen en struiken. |
|
|
|
|
|
|
De toekomstige ontsluitingsweg verbindt de Ring van Lier (R16) met het station. Zo ontstaat een vlottere verbinding naar het station voor pendelaars. Tegelijk vermindert de verkeersdrukte in de wijk rond de Boomlaarstraat. Naast de ontsluitingsweg liggen brede fietspaden, zodat ook de fietser zich veilig en vlot kan verplaatsen in de stationsomgeving. Die nieuwe weg zorgt voor een veiligere en betere organisatie van het verkeer naar het station en in de woonwijk rond de Boomlaarstraat. |
|
|
|
|
|
|
|
|
| Dit is een officiële nieuwsbrief van de Vlaamse overheid. |
|
Deze e-mail werd gestuurd naar:
marleen@amaril.be
Agentschap Wegen en Verkeer |
|
|
|
|
|
|
|
